Jacarandá y Los Horneros
Descripción ampliada
Lote en venta en barrio "Mirador del Rio" , Arroyo seco.
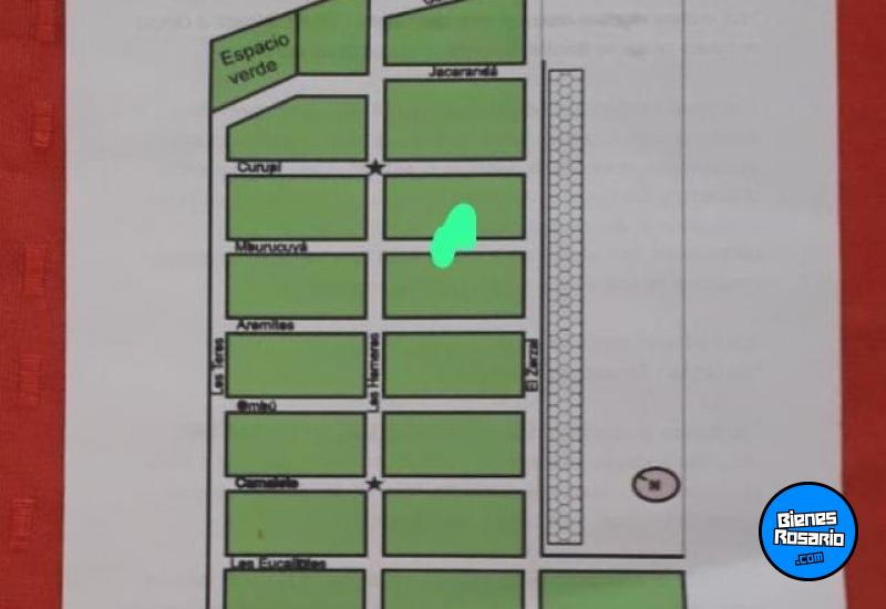
Terreno de 444m2 de superficie, 12 metros de frente por 37 metros de fondo, forestado y en cercanias a la bajada del Rio Parana, ubicado sobre calle Jacaranda entre Los horneros y Zorzal.
El barrio cuenta con servicio de alumbrado publico, recoleccion de residuos y se encuentra listo para escriturar de manera inmediata.
Todas las medidas enunciadas son meramente orientativas, las medidas exactas serán las que se expresen en el respectivo título de propiedad de cada inmueble.
Corredores Responsables:
JOSEFINA DANTERRE - Mat. COCIR 1890
ALEJANDRO PIASTRELLINI - Mat. COCIR 2139
Terreno de 444m2 de superficie, 12 metros de frente por 37 metros de fondo, forestado y en cercanias a la bajada del Rio Parana, ubicado sobre calle Jacaranda entre Los horneros y Zorzal.
El barrio cuenta con servicio de alumbrado publico, recoleccion de residuos y se encuentra listo para escriturar de manera inmediata.
Todas las medidas enunciadas son meramente orientativas, las medidas exactas serán las que se expresen en el respectivo título de propiedad de cada inmueble.
Corredores Responsables:
JOSEFINA DANTERRE - Mat. COCIR 1890
ALEJANDRO PIASTRELLINI - Mat. COCIR 2139
Ubicación
Rosario Jacarandá & Los Horneros. Rosario. Santa Fe.
Datos de contacto
Danlin Soluciones Inmobiliarias
Dirección: Catamarca 1183
Ciudad: Rosario
Provincia: Santa Fe
Celular: 0341 - 156585204
eMail: Ver Mail
Dirección: Catamarca 1183
Ciudad: Rosario
Provincia: Santa Fe
Celular: 0341 - 156585204
eMail: Ver Mail
Contactar por WhatsApp
Descripción de la propiedad
Operación: Venta
Propiedad: Terrenos
Provincia: Santa Fe
Ciudad: Rosario
Dirección: Rosario Jacarandá & Los Horneros
Superficie: 444 m2
Vendedor: Inmobiliaria
Propiedad: Terrenos
Provincia: Santa Fe
Ciudad: Rosario
Dirección: Rosario Jacarandá & Los Horneros
Superficie: 444 m2
Vendedor: Inmobiliaria
Precio
U$S 23.000
Imprimir propiedad BienesRosario.com no comercializa la propiedad que aquí se anuncia y no es responsable por la transacción que se realice entre las partes. Verifique los datos de contacto del usuario para comunicarse con él.
Denunciar esta propiedad
ATENCIÓN ESTAFAS!
BienesRosario.com no contacta telefónicamente a sus usuarios.
BienesRosario.com no contacta telefónicamente a sus usuarios.























